MAP
Photos
Map
Schools

Cambridge 326/342 Peake Road, Cambridge

ID CBC218775
By Negotiation

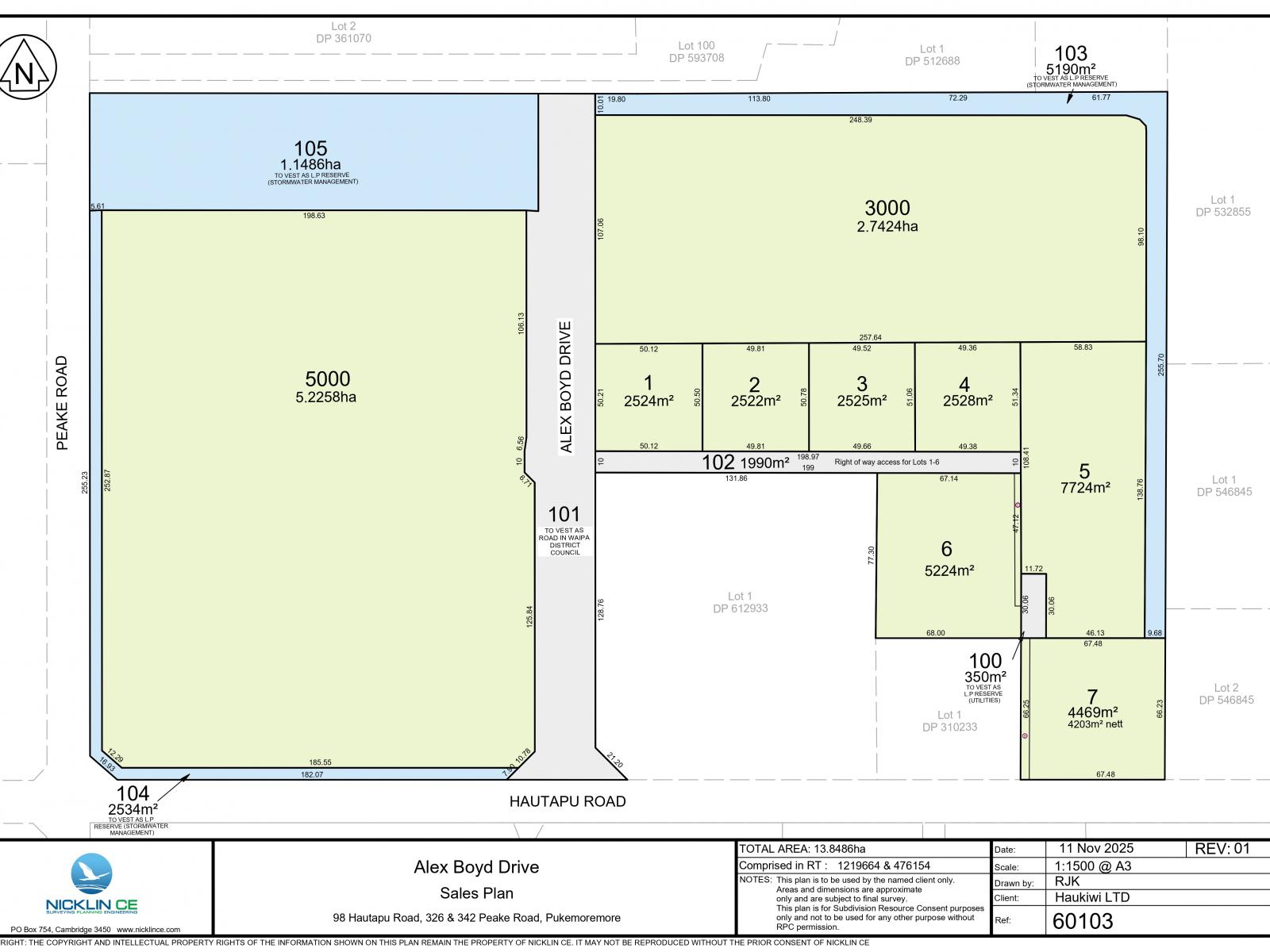
Just released industrial land

• New subdivision released to market ranging from 2,522m2 to 5.2258ha
• Location close to State Highway 1
• Surrounded by some of New Zealand's most recognised brands
• Ready-to-develop fully serviced bare land

Secure a stake in Cambridge's thriving industrial hub of Hautapu. Offering the strategic advantage of being 2km from the Waikato Expressway and 25km south of Hamilton.

Situated on Hautapu Rd this new subdivision has titles expected late 2026. This is a fast-growing area, 2 lots are under contract already, with only 6 lots now available they are sure to not last long

Call today for full info pack and pricing guide.
Features
LV | $8,680,000 & $9,900,000RV | $9,690,000 & $9,901,000
PRINT ENQUIRE NOW

Alan Copeman

M  021 874 222  P  

Enquire Now










ASAP  0-2 months  3-6 months 
Yes  No 













Privacy Statement




Property Brokers Ltd MREINZ acknowledges and complies with the provisions of the Privacy Act 1993 and its amendments. In particular Property Brokers policy covers the following specific points relevant to this topic and this website:


Any client information you provide to Property Brokers will be used only for the purpose for which it is given and will not be passed on to any third party except in accordance with the law, or with specific consent.


In the main, this will be to facilitate company communication with you in order to better meet your real estate objectives and expectations.


Information provided by you will remain confidential to Property Brokers Real Estate Ltd MREINZ. This particularly applies to your reasons for selling which we regard and treat as a personal and private matter.


Any information divulged by you to any other website linked to the Property Brokers website is given at your discretion alone, and Property Brokers takes no responsibility for any disclosures that might result.


Information provided on this website is copyrighted to Property Brokers and may be accessed, downloaded and used for personal use only. The material must not be modified, copied or reproduced for gain or commercial use without the consent in writing of Property Brokers Real Estate Ltd MREINZ.


 




Google disclaimer


This website uses Google Analytics to help analyse how users use the site.


The tool uses "cookies," which are text files placed on your computer, to collect standard Internet log information and visitor behaviour information in an anonymous form.


The information generated by the cookie about your use of the website (including your IP address) is transmitted to Google. This information is then used to evaluate visitors use of this website and to compile statistical reports on website activity.


We will never (and will not allow any third party to) use the statistical analytics tool to track or to collect any Personally Identifiable Information of visitors to our site. Google will not associate your IP address with any other data held by Google. Neither we nor Google will link, or seek to link, an IP address with the identity of a computer user.


You may refuse the use of cookies by selecting the appropriate settings on your browser, however please note that if you do this you may not be able to use the full functionality of this website.


By using this website, you consent to the processing of data about you by Google in the manner and for the purposes set out above.


This website uses Google AdWords


This website uses the Google AdWords remarketing service to advertise on third party websites (including Google) to previous visitors to our site. It could mean that we advertise to previous visitors who havent completed a task on our site, for example using the contact form to make an enquiry. This could be in the form of an advertisement on the Google search results page, or a site in the Google Display Network. Third-party vendors, including Google, use cookies to serve ads based on someones past visits to the [CLIENT NAME] website. Of course, any data collected will be used in accordance with our own privacy policy and Googles privacy policy.


You can set preferences for how Google advertises to you using the Google Ad Preferences page, and if you want to you can
opt out of interest-based advertising entirely by cookie settings or
permanently using a browser plugin.


Alan Copeman
Rapid SSL Site Seal
Similar Listings
Hautapu Industrial Development, Peake Road
Cambridge

A rare opportunity exists to secure approximately 16.6 hectares of prime industrial-zoned land in Hautapu, Cambridge, strategically positioned within the highly ...

Tender 14 April 2026 Property Brokers Cambridge, 34 Victoria Street, Cambridge | 4:00pm
33A Parakiwai Road
Cambridge

• LOT 5 • 2895m2 • Available now! With significant frontage on the Waikato Expressway at Cambridge, the Hannon Industrial Estate at Hautapu is set to become ...

By Negotiation
23 Parakiwai Road
Cambridge

• LOT 4 • 2895m2 • Available now! With significant frontage on the Waikato Expressway at Cambridge, the Hannon Industrial Estate at Hautapu is set to become ...

By Negotiation